Actualités Gérard Trudeau, président des Fermes Trudeau: Une mention d’honneur pour ses relations canado-républicaines 26 septembre 2017 120 vues
Culture Journées de la culture: de la Nouvelle-France aux nouvelles technologies, Brossard traversera les époques 23 septembre 2017 56 vues
Environnement Les Portes ouvertes des Services animaliers de la Rive-Sud attire 665 visiteurs 22 septembre 2017 88 vues
Actualités Les planchistes ont accès à une première rampe du futur skatepark 22 septembre 2017 114 vues
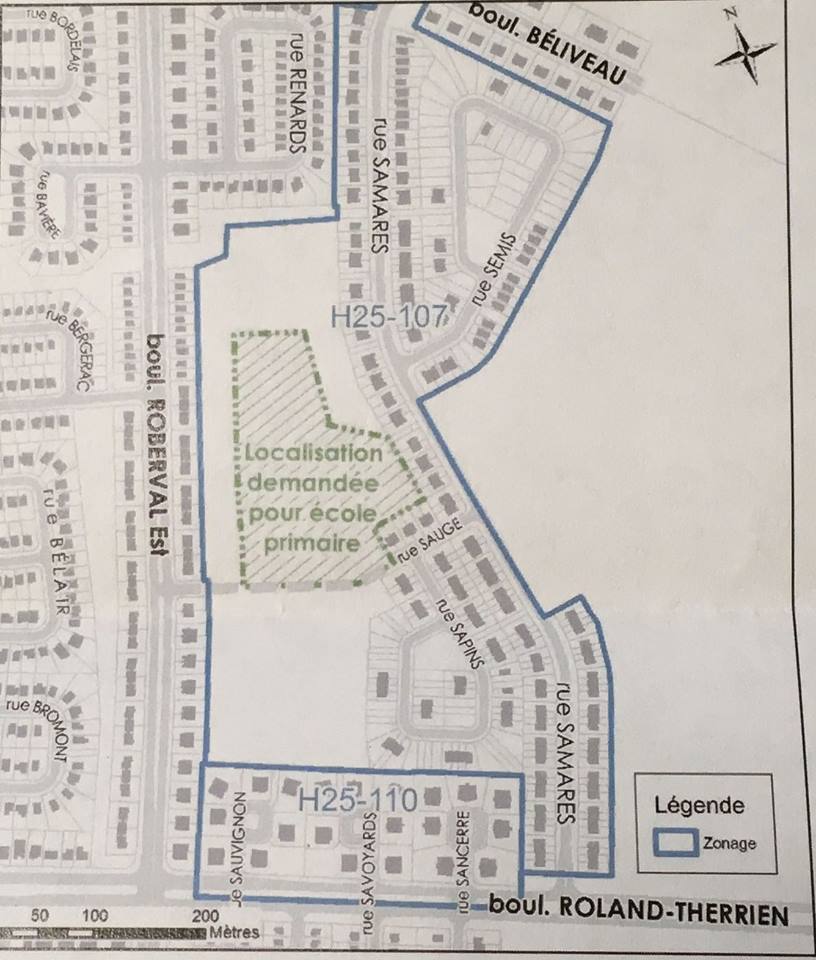
Actualités La construction d’une nouvelle école près d’un boisé ne fait pas que des heureux 21 septembre 2017 218 vues
Actualités Le Défi Tout-Puissants Leucan : une deuxième édition toute en force 21 septembre 2017 73 vues